联系人:王经理
销售电话:13371051536
销售QQ:1401548526
公司地址:山东省潍坊市高新区光电路155号光电产业加速器(一期)
13371051536
PRODUCT CENTER
联系人:王经理
销售电话:13371051536
销售QQ:1401548526
公司地址:山东省潍坊市高新区光电路155号光电产业加速器(一期)
文章来源:球盟会官网网页版 发布时间:2020-08-13 08:38:01 浏览次数:1294次
8月11日,记者从省农业农村厅获悉,夏播尤其是入汛以来,我省大部土壤墒情适宜,对秋粮作物正常出苗发育较为有利,信阳、驻马店等地部分地块出现洪涝灾害,但整体面积占比不大。我省对草地贪夜蛾防控有力,当前病虫害发生程度轻于上年同期,秋粮长势总体良好。
夏播期间,全省上下全力开展抗旱抢种和抢墒播种,基本实现应种尽种、适期播种,秋粮播种面积7600多万亩。田间管理上,我省坚持“种子落地、管字上马”,省农业农村厅组建了18个秋粮专家指导组,赴各地指导农民及时落实补种、化学除草、中耕、追肥等管理措施,做到早管精管细管。
7月下旬,我省多地出现强降雨天气过程,尤其是豫南等地出现大到暴雨。省农业农村厅紧急印发通知,组织全省农业农村系统全力投入防汛救灾工作,成立专家组赴受灾地区,指导当地及时排除田间积水,努力把灾害损失降到最低。
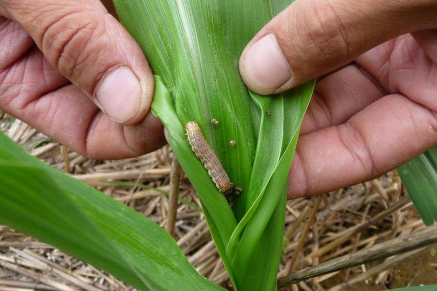
草地贪夜蛾是玉米、高粱等作物上的迁飞性重大害虫。根据草地贪夜蛾的迁飞规律和区域为害特点,我省已建立淮河、沙河、黄河、豫冀界4条草地贪夜蛾监测阻截带。截至8月4日,我省先后在信阳、南阳、驻马店、周口、商丘、开封、三门峡等7市的26个县(市、区)发现草地贪夜蛾幼虫或成虫,全省累计见虫面积是去年同期的九分之一。发现虫情后,各地迅速组织点杀点治和应急防控,及时遏制了草地贪夜蛾的蔓延,确保了玉米的正常生长。
文章转载自央广网

土壤剖面水分仪FT-GTS03是用来测量和研究土壤的水文特征及其变化规律,从而为农业生产提供科学依据。
土壤墒情监测系统采用FDR原理,根据设备发射电磁波在不同介电系数物质中的频率变化来测量各土层的湿度,并使用高精度数字温度传感器来测量各土层的温度。默认同时测量10cm、20c
多层管式球盟会官网网页版 是风途科技的主营产品之一,利用土壤水分传感器,可以监测不同深度的土壤温湿度,结构简单,安装方便,是目前常用的墒情监控设备之一。
中国是农业大国,耕地是用水大户。灌溉工程在农业中起着重要的作用。中国农业用水量约占中国总用水量的63%,但实际用于农作物的不到30%。